Notícias
Recorde mundial: Furacão entra para história com rajadas de vento de 405 km/h no Atlântico
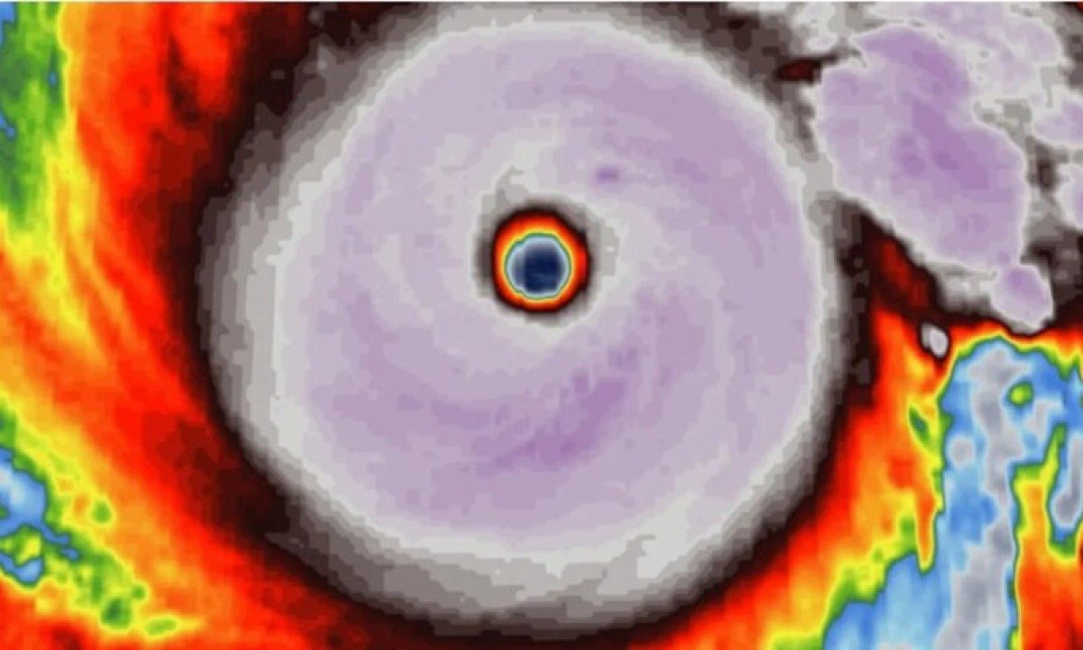
-
Após análise do Centro Nacional de Pesquisas Atmosféricas dos Estados Unidos, o dado foi validado sem anomalias. As sondas transmitiram medições em tempo real até o impacto com o oceano, confirmando o recorde histórico. Foto: Holger Vömel/NSF NCAR -
Melissa, furacão categoria 5, devastou a Jamaica em outubro e também atingiu o Haiti com enchentes. O saldo foi de 102 mortos e prejuízos de 10 bilhões de dólares (mais de 53 bilhões de reais), tornando-se um dos piores desastres do Caribe. Foto: Reprodução -
Furacões, aliás, são tempestades poderosas que causam destruição, alagamentos e deslocamentos forçados. Seu impacto imprevisível gera medo coletivo e sensação de vulnerabilidade. Foto: Divulgação/NOAA -
Furacões frequentemente causam destelhamentos, destruição de carros e imóveis, quedas de postes e árvores, apagões elétricos. Também provocam inundações, deslizamentos e prejuízos econômicos graves. Foto: Reprodução de vídeo G1 -
-
Embora pareçam sinônimos, furacão, tufão, ciclone, tornado, tormenta, temporal e tempestade têm diferenças em origem, intensidade e uso regional. Cada termo descreve fenômenos atmosféricos distintos, embora alguns sejam variações do mesmo tipo de sistema. Foto: Imagem de Welcome to All ! ? por Pixabay -
Primeiro, há uma diferenciação simples de nomenclatura e regionalismo. Furacões, tufões e ciclones são fenÃŽmenos que recebem diferentes nomes conforme a região em que ocorrem. Foto: Reprodução de vÃdeo G1 -
O termo furacão, por exemplo, é usado para esses fenômenos no Oceano Atlântico e no nordeste do Pacífico. Em regiões do noroeste do Pacífico, os fenômenos recebem o nome de tufões. Por fim, no Pacífico Sul e no Oceano Índico, são conhecidos como ciclones. Foto: Divulgação NHC -
-
Portanto, o ciclone é um termo geral para sistemas de baixa pressão com rotação; pode ser tropical (furacão/tufão) ou extratropical. Abrange eventos em várias regiões do mundo. Foto: NASA - Wikimédia Commons -
Os ciclones se formam quando o ar quente e úmido do oceano sobe, criando uma área de baixa pressão que atrai o ar circundante, resultando na formação de nuvens de chuva. Foto: -freepik Wirestock -
Para que isso ocorra, é necessário que a temperatura da água do mar esteja acima de 27 graus, geralmente nas águas quentes próximas à Linha do Equador, entre 5 e 30 graus de latitude norte ou sul. Foto: NOAA/Domínio Público -
-
As águas aquecidas, como as do Golfo do México, favorecem o fortalecimento dos furacões, impactando diretamente regiões como a Flórida. Foto: GrandEscogriffe/Domínio Público -
Os tufões que se formam no noroeste do Oceano Pacífico podem ocorrer em qualquer época do ano, mas sendo mais comuns entre junho e novembro. Foto: NOAA - Mariners Weather Log - Wikimédia Commkons -
Para ser considerado um tufão, os ventos da tempestade devem atingir pelo menos 119 quilômetros por hora. Foto: Imagem de David Mark por Pixabay -
-
A intensidade dos ventos também determina a categoria do tufão, sendo a categoria um a mais leve (119-153 quilômetros por hora), enquanto a categoria cinco, a mais forte, possui ventos acima de 252 quilômetros por hora. Foto: Mohd Nor Azmil Abdul Rahman - Flickr - Wikimédia Commons -
Os tornados, por sua vez, costumam ser muito mais intensos do que furacões. Isso porque, enquanto furacões podem cobrir áreas vastas, como um estado, os tornados têm diâmetros que dificilmente ultrapassam algumas centenas de metros. Foto: Reprodução de vídeo redes sociais -
Os ventos de ambos são igualmente potentes, girando em torno de um mesmo centro, mas a velocidade de um tornado é muito maior. Foto: Reprodução do site top10mais.org/top-10-piores-furacoes-de-todos-os-tempo -
-
Segundo a NASA, os tornados se formam em condições específicas, geralmente a partir de fortes tempestades, em regiões com grandes mudanças de vento, como as planícies centrais dos Estados Unidos, principalmente na primavera e começo do verão. Foto: Imagem de Ekaterina por Pixabay -
Tempestade se refere ao fenômeno com chuva, raios e trovões, podendo incluir vento forte e granizo. É o termo mais comum e abrangente para distúrbios climáticos. Foto: DerTobiSturmjagd pixabay -
Temporal designa chuva forte e rápida, geralmente acompanhada de rajadas de vento, trovoadas e granizo. Dura pouco, mas causa transtornos. Foto: imagem gerada por i.a -
-
Uma tormenta, por sua vez, é um termo mais amplo e genérico, usado para indicar tempestades fortes com ventos, chuvas ou trovoadas. Pode referir-se a qualquer tipo de perturbação atmosférica intensa. Foto: Daniel Lerman Unsplash